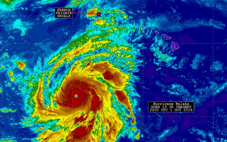
East Island bestaat niet meer. Het eilandje was onderdeel van de French Frigate Shoals in het Papahānaumokuākea Marine National Monument in Hawaii. Door de orkaan Walaka, die dwars door het gebied raasde, is East Island onder water verdwenen, meldt het park in een infobulletin.
-lees verder onder de afbeelding-

Op het eiland, eigenlijk meer een zandstrook, woonden geen mensen. Het is een belangrijke pleisterplaats voor bedreigde diersoorten, zoals de Hawaiiaanse groene zeeschildpad en de Hawaiiaanse monniksrob. Wetenschappers onderzoeken wat de gevolgen zijn voor het dierenleven in de buurt.
-lees verder onder de foto-

East Island bestond uit zand en grint en lag op de top van een uitgedoofde vulkaan. Tegen CNN zegt een wetenschapper dat soortgelijke eilanden door de klimaatverandering en de stijgende zeespiegel erg kwetsbaar zijn en steeds vaker zullen verdwijnen.
Walaka was een orkaan van vijfde categorie en daarmee één van de zwaarste die door het gebied trok.

